Venta de terreno urbanizable en Zurucuain
Zelaia ,4 Yerri España
0.00 m2 0Habitaciones 0Baños
Terreno urbanizable En venta
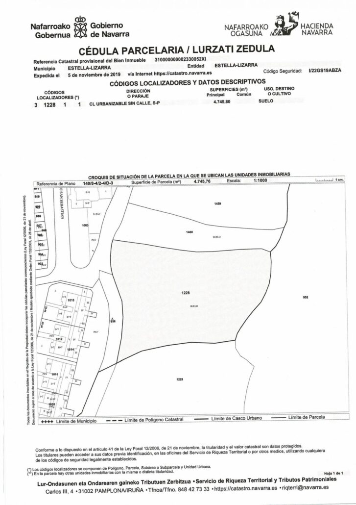
Parcela urbanizables en Estella
URBANIZABLE SIN CALLE , Estella - Lizarra España
0.00 m2 0Habitaciones 0Baños
Terreno urbanizable En venta
Parcela urbanizable en Estella
Ibarra , Estella - Lizarra España
0.00 m2 0Habitaciones 0Baños
Terreno urbanizable En venta
VENTA TERRENO URBANIZABLE EN ELTZABURU ULTZAMA
URBANIZABLE SIN CALLE , Eltzaburu España
0.00 m2 0Habitaciones 0Baños
Terreno urbanizable En venta
